Projet alternatif à celui soutenu par le Conseil Départemental des PO concernant
un projet routier reliant la D115 (Le Vallespir vers Le Boulou) à la D618
(Maureillas – Ceret)
Propositions de l’association Bien Vivre en Vallespir
————————————
L’objectif et les raisons de nos propositions
Il s’agit :
– d’essayer de répondre aux problèmes de mobilité existants,
– de protéger la biodiversité du Tech et éviter l’artificialisation,
– de proposer des solutions d’utilisation des terres (30 ha) qui seraient impactées par la construction d’une infrastructure routière comprenant un viaduc, un pont et la possible création d’un pôle touristique d’excellence (golf …).
Les raisons de notre positionnement
L’intention du projet porté par le département est de fluidifier le trafic routier à l’entrée Nord-Est de Céret. Ce trafic est essentiellement généré par des véhicules circulant entre le Haut-Vallespir et Céret d’une part et Le Boulou, Perpignan, l’autoroute ou l’Espagne d’autre part.
La population ayant diminué dans le secteur du Haut-Vallespir (baisse de 0,6% entre 2011 et 2016), les chiffres officiels montrent que le trafic a peu augmenté et reste même limité en été. Un faible ralentissement du trafic a lieu au moment où les gens se rendent à leur travail ou en reviennent.
En préambule et comme le montrent toutes les études faîtes à ce sujet, nous affirmons que toute création de nouvelle infrastructure routière génère une augmentation de trafic et, en conséquence, de la pollution.
Nos propositions tiendront compte à la fois de la réalité des besoins et de la situation climatique.
Nos propositions
-
Mobilités douces et décarbonées :
-
- Retour du train sur la ligne Céret Perpignan
Le retour du train à Céret doit être pris en compte : les aménagements actuels ne doivent pas compromettre ce projet très important pour l’avenir du Vallespir . Même si ce n’est pas une compétence des communes, des intercommunalités ou du département, nos élus locaux devront tout faire pour exiger de la Région, de l’État et de la SNCF la réouverture de cette ligne. Le train est le transport écologique de demain ! La réoccupation de la voie ferrée historique impliquera le déplacement de la voie verte cycliste pour laquelle des solutions alternatives existent
La gare devrait se situer en amont du pont actuel pour permettre :
. aux cérétans de pouvoir s’y rendre à pied, à bicyclette ou avec les navettes de la ville.
. aux habitants du Haut-Vallespir d’y accéder plus facilement avec la mise en place de bus aux horaires coordonnés et sans devoir franchir le pont sur le Tech.
Ainsi, la création d’un train léger innovant entre Céret et Perpignan, comme il en existe dans d’autre régions pourrait être envisagée. Les cabinets d’expertise sollicités par l’association « Osons le rail » et la « CGT cheminot » ont démontré la faisabilité technique, l’intérêt social et écologique de ce projet pour un coût économique modéré, (34 800 M€) et un temps de trajet estimé à 35 mn.
Lien pétition : https://c.org/YQStkC6tQZ
-
- Étendre les pistes cyclables
Un véritable plan de circulation piéton et vélo sécurisé doit être mis en place et valorisé sans pénaliser le retour du train.
Faire que les vélos puissent être pris dans les transports publics
Prévoir des espaces abrités et sécurisés pour que les gens puissent laisser leur vélo sur les aires de covoiturage.
2. Améliorer les transports en commun existants du Vallespir :
-
- la fréquence,
- la meilleure pertinence des horaires,
- l’adaptation de la capacité des bus aux besoins,
- les arrêts aux entrées de Céret et sur les aires de covoiturage.
3. Améliorer le covoiturage
Sur le plan pratique : créer des aires de covoiturage sur la D115 et la D618 :
-
- une avant l’entrée Nord-Ouest de Céret (venant de Reynes et du Haut-Vallespir).
- une à la zone Ulrich
- une à St Jean Pla de Corts.
- une à l’entrée Sud-Est de Céret
- une à Maureillas
Sur le plan logistique : innover en créant sur portable des applications plus ciblées pour les différentes sortes de déplacements : courses/travail/loisirs etc…Les communautés de communes ou le Département pourrait s’en charger.
4. Travailler sur les bruits de roulement et la vitesse :
-
- Modification du revêtement de la route : il existe des enrobés silencieux.
- Radars de tronçons pour faire respecter 30km/h entraînant la fluidité du trafic.
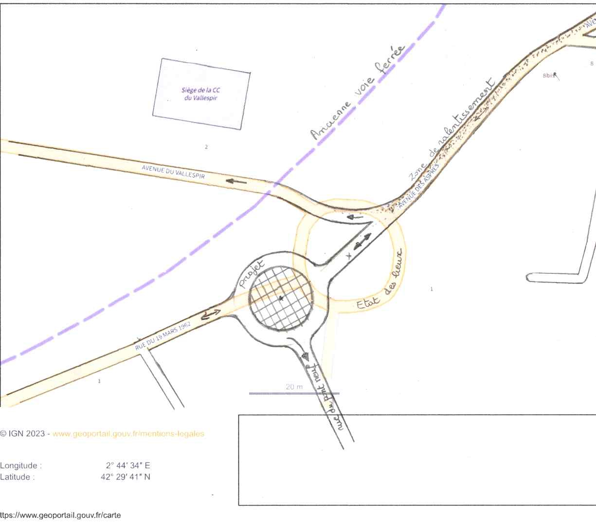
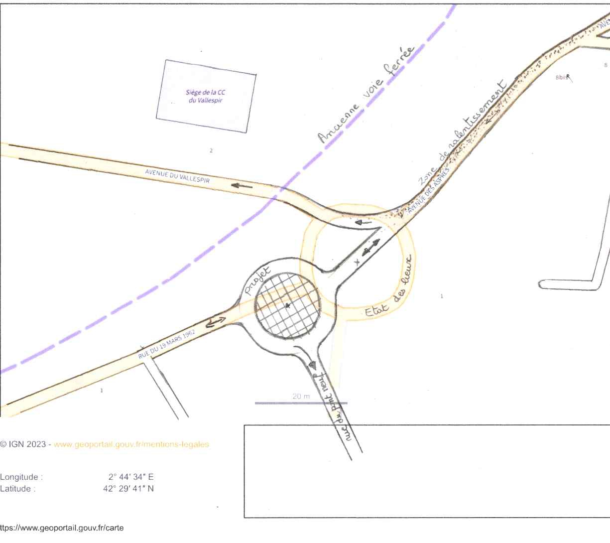
5. Amélioration de la circulation à l’Ouest de Céret :
Modification du rond Point de l’Ordre National du Mérite pour améliorer la fluidité du trafic routier
6. Traverser le Tech en toute tranquillité à pied ou en vélo:
Restauration du gué en aval de Céret avec possibilité d’ouverture aux voitures en cas d’urgence.
Il serait intéressant pour beaucoup d’habitants (piétons et cyclistes) du Sud de Céret de pouvoir traverser le Tech de cette manière, notamment pour rejoindre la zone Ulrich.
Protection des terres agricoles
Plutôt que d’être tributaire d’un nouveau tourisme d’excellence aléatoire accroissant les trafics routiers, pourquoi ne pas utiliser nos terres agricoles pour un essor économique local, durable et socialement utile ?
Notre idée est donc d’utiliser ces bonnes terres que le département a déjà expropriées (32,5Ha) afin d’y développer un projet agricole permettant un approvisionnement local pour une restauration de qualité. A lui seul cet espace pourrait couvrir les besoins en fruits, légumes et céréales des écoles primaires, maternelles, EHPAD et autres établissements publics du territoire avec environ 1650 repas par jour (simulation réalisée à l’aide de l’outil « PARCEL » disponible sur le site « Terres de liens »).
De nouvelles techniques de culture – permaculture, agroforesterie, etc., sont en plein développement mais demandent un soutien à leur mise en place.
Ces terres agricoles qui sont actuellement sous exploitées, deviendraient un lieu de production, mais aussi un pôle d’éducation, de formation à ces nouvelles techniques. Pourquoi ne pas envisager une régie départementale, communale ou intercommunale pour installer un (ou plusieurs) maraîcher(s) et fournir des produits bio et locaux pour tous ?
Ce projet contribuerait aussi à la création d’emplois.
Conclusion
Le projet routier porté par le département est une solution du passé. Il ne répond pas à l’intérêt général : dans le contexte du changement climatique il est complètement inadapté aux enjeux de mobilité actuels et futurs.
C’est pourquoi nous souhaitons son abandon pur et simple. Nous proposons de travailler avec les élu(e)s de la communauté de communes du Vallespir à un projet ouvert qui pourrait s’inspirer de nos propositions. Nous considérons qu’elles ont plus d’intérêt et d’avenir pour notre territoire.
Bien Vivre en Vallespir


